VERY RARE! 1964 NASA Ranger VII Mission Type 1 Apollo Lunar "Camera A" Moon Surface Photograph (Vintage "A KODAK PAPER" Watermark)*

VERY RARE! 1964 NASA Ranger VII Mission Type 1 Apollo Lunar "Camera A" Moon Surface Photograph (Vintage "A KODAK PAPER" Watermark)*
Comes with a hand-signed C.O.A. and a full historical research write-up
Size: 8 × 10 inches
Mission: Ranger VII Mission - Lunar Photography Mapping
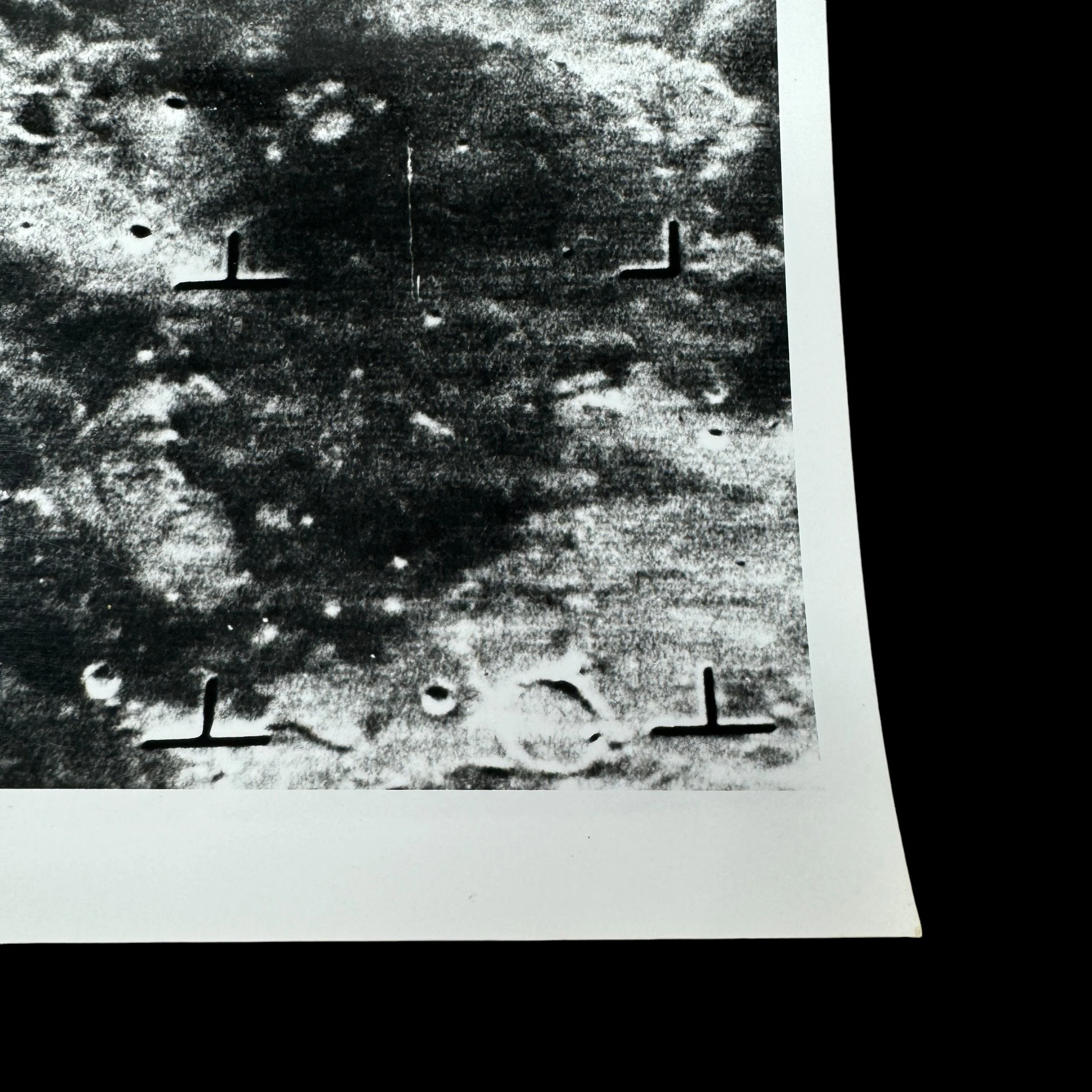
Photograph: Lunar photograph from Ranger VII “Camera A” - Type 1 NASA print printed on the original vintage NASA Kodak paper and contains the original Kodak watermark “A KODAK PAPER” on the reverse of the type 1 lunar photograph. This was the authentic KODAK watermark used by NASA on all original negatives to type 1 prints before it was changed in 1972.
Dated: 1964
This incredibly rare and museum-grade National Aeronautics and Space Administration (NASA) 1964 dated Ranger VII lunar photograph is an original TYPE 1 NASA photograph developed shortly after the Ranger VII mission.
This lunar photograph, captured by Ranger VII’s "Camera A," is an original Type 1 NASA print, developed on vintage NASA Kodak paper. The reverse side of the photograph bears the authentic “A KODAK PAPER” watermark, signifying its authenticity as a true Type 1 print. This watermark was exclusively used by NASA on all original negatives printed on Kodak paper prior to 1972, when it was subsequently changed. As a result, this photograph not only holds historical significance as part of the Ranger VII mission but also serves as a rare example of NASA’s original photographic process during the pioneering era of lunar exploration. The combination of the image’s authenticity, its connection to a groundbreaking mission, and the vintage Kodak paper makes this piece an exceptional artifact of space history.
Ranger VII, launched on July 28, 1964, was a milestone mission in NASA’s Ranger program and marked the first successful endeavor to capture high-resolution images of the Moon before a controlled crash landing. This mission was a critical precursor to the Apollo program, providing the first detailed close-up photographs of the lunar surface. The spacecraft was equipped with six television cameras—two full-scan (narrow-angle) and four partial-scan (wide-angle) cameras—designed to transmit a continuous stream of images during its final descent.
As Ranger VII approached the Moon, its cameras captured progressively higher resolution images, with the final pictures taken just seconds before impact showing incredible detail with a resolution of about half a meter. These images were transmitted in real-time to Earth, and the mission sent back a total of 4,308 photographs. This mission was the first to provide NASA with the necessary data to assess the lunar surface’s features, flatness, and safety, which later played a pivotal role in determining suitable landing sites for the Apollo missions.
This Type 1 lunar photograph is an extraordinary artifact from the early days of lunar exploration, representing a key chapter in NASA's mission to put humanity on the Moon. It not only symbolizes the technological advancements of the era but also serves as a vital link to the groundwork laid for the Apollo program.
FULL HISTORY: Ranger VII Mission
The Ranger VII mission, launched on July 28, 1964, marked a pivotal moment in humanity’s quest to explore the Moon. It was part of the larger Ranger Program, a series of space missions conducted by NASA with the primary objective of capturing detailed photographs of the lunar surface. The photographs taken by Ranger VII were groundbreaking, as they provided the first close-up images of the Moon, helping scientists and engineers to gain unprecedented insight into its composition, terrain, and surface conditions. This mission laid the groundwork for future lunar exploration, including the Apollo missions, which eventually culminated in human landings on the Moon. A detailed understanding of how these photographs were taken, processed, and used can provide us with insight into the importance of the Ranger VII mission in shaping our understanding of the lunar surface.
The Ranger Program and the Purpose of Ranger VII
Ranger VII was the first successful mission in NASA’s Ranger series, after several failed attempts by earlier Ranger spacecraft to transmit usable data back to Earth. The Ranger missions were designed as “hard landers,” meaning the spacecraft were to crash into the Moon after sending back as much data and imagery as possible during their descent. The goal was to obtain high-resolution photographs of the Moon’s surface in preparation for manned missions, especially the future Apollo landings.
Ranger VII’s target was the Moon’s Mare Cognitum, a relatively smooth, basaltic plain. The mission’s primary objective was to capture detailed images of the Moon's surface that would help scientists better understand the lunar terrain and select potential landing sites for future missions. Before Ranger VII, the best images of the Moon had come from telescopes on Earth, which were limited in detail due to the distortion caused by Earth’s atmosphere. Ranger VII promised to change that by providing clear, up-close views of the lunar landscape.
The Camera System on Ranger VII
The core of Ranger VII's mission was its sophisticated camera system. The spacecraft was equipped with six television cameras that were designed to take photographs at various resolutions and fields of view. The cameras were divided into two types: wide-angle cameras, which were designated as P (partial scan) cameras, and narrow-angle cameras, labeled F (full scan) cameras. These cameras were designed to capture images of the Moon in the final 15 minutes of Ranger VII’s descent, transmitting the data back to Earth in real-time before crashing into the lunar surface.
The P cameras provided broader, less detailed views of the lunar landscape, while the F cameras offered narrow, high-resolution images that could resolve objects as small as half a meter. The combination of these camera types allowed NASA to capture a comprehensive range of images, from wide shots of the lunar surface to close-ups of individual craters and other surface features.
One of the challenges in designing the camera system was ensuring that it could withstand the conditions of space and the violent crash into the Moon. The cameras needed to function perfectly up until the moment of impact, capturing as many high-quality images as possible. This was achieved through a complex system that balanced speed and image resolution. The cameras took a series of images at increasing resolutions as the spacecraft got closer to the Moon, with the highest-resolution images being taken in the final moments before impact.
Transmission and Reception of Images
Once the cameras aboard Ranger VII started capturing images, they transmitted them back to Earth using a high-frequency radio transmitter. This real-time transmission was crucial because the spacecraft would be destroyed upon impact with the Moon, and there was no way to recover physical film or data after the crash. The images were sent to NASA’s Deep Space Network (DSN), a global network of large antennas designed to communicate with spacecraft in deep space. The antennas received the data, which was then processed and converted into visual images at NASA’s Jet Propulsion Laboratory (JPL) in Pasadena, California.
The images were transmitted in analog form, which had to be decoded and transformed into usable photographs on Earth. Each image was composed of a series of scan lines, similar to how early television signals were broadcast. The analog data from each scan line was converted into a digital signal, which was then used to reconstruct the image. This process was done rapidly, allowing NASA to receive and display the images in near-real time as the spacecraft approached the Moon. In total, Ranger VII sent back 4,308 photographs, providing an unprecedented view of the lunar surface.
Photographic Development and Usage
Once the images were received at JPL, they were processed and analyzed by scientists and engineers. The photographs ranged from wide-angle images, showing large expanses of the lunar surface, to highly detailed close-ups of craters and other features. The highest-resolution images were taken just a few seconds before the spacecraft impacted the Moon, providing NASA with extremely detailed views of the lunar terrain.
The first image was transmitted from a distance of about 2,110 kilometers (1,310 miles) above the Moon’s surface. The images progressively increased in resolution as Ranger VII descended, with the final image being taken from a distance of just 488 meters (1,600 feet). This final image had a resolution of about 0.5 meters, meaning it could clearly show objects about the size of a car on the lunar surface.
The development of these images was a meticulous process. Given that the transmission was in analog form, any interference in the radio signal could cause distortions in the images. As a result, scientists had to carefully clean up and reconstruct the images to ensure that they accurately represented the lunar surface. This process involved both automated and manual techniques, including the use of computers to fill in missing or corrupted data and hand-drawn corrections by technicians to smooth out any inconsistencies.
The photographs taken by Ranger VII were immediately used to improve understanding of the Moon's geography and surface conditions. One of the most important outcomes of the mission was the validation of the general safety of the lunar surface for future landings. The images showed that the surface was relatively smooth and free of large boulders or deep craters in certain areas, which was a key consideration for the Apollo missions that would follow in the coming years. NASA engineers used the images to help select potential landing sites for Apollo astronauts, and scientists used the data to develop better maps and models of the lunar surface.
The images were also studied for scientific purposes. They revealed the detailed structure of lunar craters and the distribution of surface materials, providing clues about the Moon’s geological history. The close-up views of the surface allowed scientists to study the effects of meteor impacts, the composition of lunar soil, and the processes that had shaped the lunar landscape over billions of years.
Legacy of Ranger VII’s Photographs
The photographs from Ranger VII were some of the most significant contributions to space exploration at the time. They provided humanity’s first close-up views of another celestial body, revealing the Moon in unprecedented detail. The success of the Ranger VII mission also demonstrated the effectiveness of unmanned spacecraft in gathering critical data for future missions. The images it captured were used extensively in planning the Apollo landings, ensuring that astronauts would have a safe and relatively smooth surface to land on.
In a broader sense, the Ranger VII mission represented a major leap forward in our ability to explore space remotely. The techniques developed for taking, transmitting, and processing images during this mission laid the groundwork for later lunar missions, as well as planetary exploration missions to Mars, Venus, and beyond. The use of real-time data transmission became a standard for future space missions, allowing scientists to analyze data and make decisions quickly, without the need to physically recover equipment from space.
In conclusion, the Ranger VII mission was a milestone in space exploration, not only for the images it captured but also for the technological advancements it represented. The photographs it took of the lunar surface were invaluable to the Apollo program and contributed significantly to our understanding of the Moon. Through its innovative camera system, real-time data transmission, and detailed image analysis, Ranger VII set the stage for humanity’s eventual landing on the Moon and opened the door to the exploration of other planets. Its legacy continues to influence space exploration to this day.